


原廣州市國土資源和房屋管理局于2006年12月27日核發拆許字〔2006〕第43號房屋拆遷許可證,并以穗房拆字〔2006〕43號房屋拆遷公告予以公布。根據拆遷人的申請,我局同意核發延拆許字〔2020〕第23號房屋拆遷許可證。現將房屋拆遷許可證的內容和有關事項公布如下:
一、建設項目名稱:商業用地(政府儲備用地)。
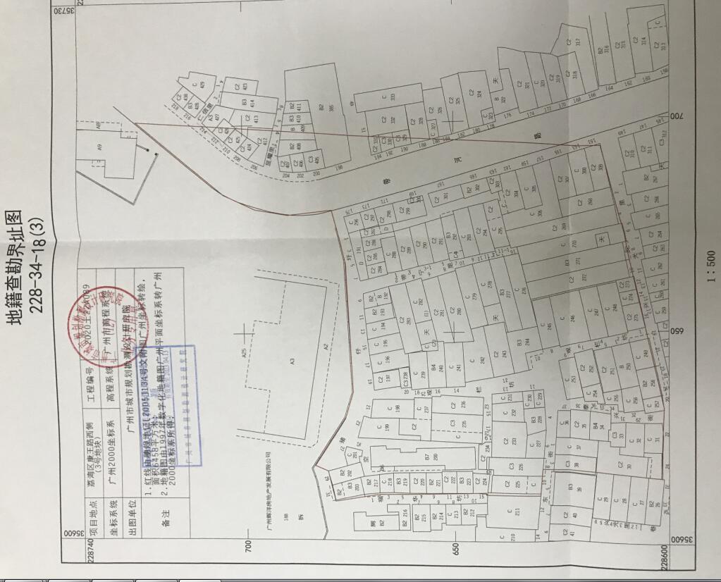
二、拆遷地點和范圍:荔灣區豬仔圩1號、3號、5號、7號、9號左、9號右、11號、13號、15號、17號、19號、21號、23號、27號、29號、31號,福華坊1號、3號、5號、7號、9號、11號、13號、15號,龍華東街1號、3號、4號、6號、8號、10號,觀欄坊1號、3號、5號、7號、9號、11號、13號、15號、17號、19號、21號、23號、25號、2號、4號、6號、8號、10號、12號、14號、16號、18號、20號,帶寧里1號、3號、5號、7號、9號、11號、3號之一、11號之一、2號、4號、6號、8號、10號、12號、14號、16號,帶河路151號、153號、155號、157號、159號、161號、163號、169號、171號、175號,泰興街32號、34號、36號、38號、40號、42號、29號、31號、33號、35號、37號,興光里2號、4號、6號、8號、10號、12號、14號、16號、18號、20號、22號、24號,帶河路原門牌184號、186號、188號、190號、192號、194號、196號、198號、200號、202號、204號、206號、208號、210號,顯耀里1號、2號、4號。(詳見附圖)
三、根據原廣州市國土資源和規劃委員會《關于明確康王路3號地塊現有建筑保護要求的復函》(穗國土規劃函〔2018〕1498號)明確康王路3號地塊紅線內,經文化遺產普查登記為傳統風貌建筑線索的共有3處,分別是:帶河路165號民居、帶河路167號民居、帶河路173號民居。以上具體建筑的保護利用方案以規劃許可為準,未經批準不得拆除。
四、拆遷人:廣州市土地開發中心。
五、拆遷實施單位:廣州市荔灣區道路擴建工程辦公室。
六、拆遷期限:2020年8月20日至2021年8月19日止。
七、拆遷人員進行房屋拆遷工作時,應當佩帶相關證件;未佩帶相關證件的,被拆遷人、房屋承租人有權拒絕與其協商。
八、對我局核發的本公告公布的《房屋拆遷許可證》有異議的,可在公告公布之日起60日內向廣州市人民政府或廣東省住房和城鄉建設廳申請行政復議,也可在公告公布之日起6個月內向人民法院提起行政訴訟。行政復議、行政訴訟期間不停止拆遷的正常進行。
九、相關資料可以向拆遷人索取。
拆遷人聯系地址:越秀區豪賢路193號
聯 系 人:劉偉東
聯系電話:83908009
拆遷人員名單:劉偉東、張遠友
廣州市住房和城鄉建設局(代章)
2020年8月20日
附件:附圖
關注 · 廣州政府網